N° obs. : 7036
Récolteur : JJD
Date de récolte : 2013-05-12 09:49:17
Localisation : 48°29'18.95"N , 00°2'38.68"O
Notes : Observé le 12/05/2013 sur la commune de Livaie. Orne. Basse-Normandie.

Numéro de référence récolteur :
Adresse : L'Orée-d'Écouves - Alençon [OSM]

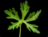
Geraniaceae
Détermination : Geranium dissectum L.(Géranium découpé)        JJD (2013-05-12)
UUID Specimen : 2da39ac0-fc38-11e3-822c-e06995b3ac77